



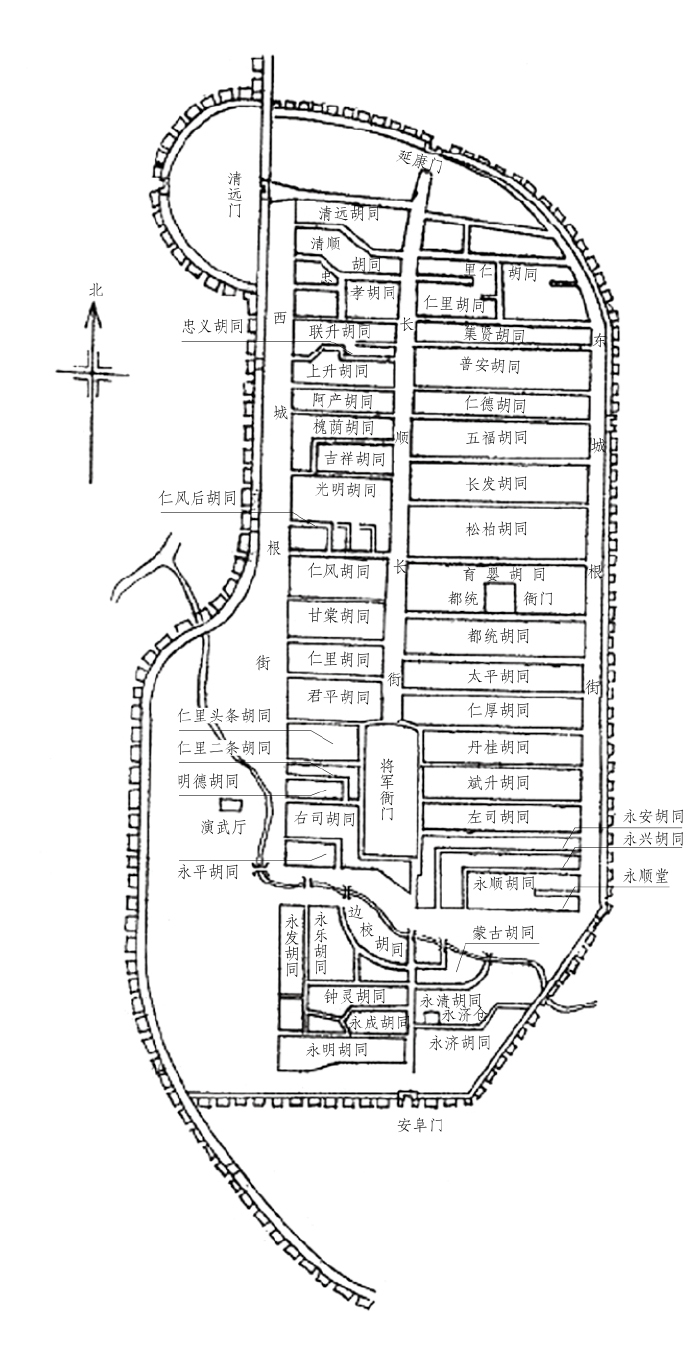
现宽窄巷子历史文化保护区仅为清以来满城的极小部分。原满城格局是:以将军衙门(现金河宾馆旧址)公共建筑为布局核心,以长顺街为轴线,轴线标高稍高于两侧若干胡同,恰此形成以街代沟的排水系统,构成鱼骨状满城街道体系。这种格局是军营营房排列组合功能的结果,整体又以城墙围护,故称满城,又叫少城。
满城一名内城,在府城西,康熙五十七年所筑,周四里五分,八百一十一丈七尺三寸,高一丈三尺八寸。有五门:大东门、小东门、北门、南门、大城西门。城楼四,共一十二间。尽住旗人,每旗官街一条,披甲兵丁小胡同三条。八旗官街共八条,兵丁胡同共三十三条。以形势观之有如蜈蚣形状:将军帅府,居蜈蚣之头;大街一条直达北门,如蜈蚣之身;各胡同左右排比,如蜈蚣之足。城内景物清幽,花木甚多,空气清洁,街道通旷,鸠声树影,令人神畅。
——摘自傅崇矩《成都通览》
清代满城示意图
成都市宽窄巷子历史文化保护区,按1998年3月成都市规划设计研究院《宽窄巷子历史文化保护区保护更新规划(调整)》的界定,保护区面积约5.6公顷,合85.2亩,56250平方米。我们从2003年2月底开始展开对保护区及周边街区的调查,并从历史文化、建筑、民风等多侧面进行研究。所得情况,诸多秘趣。
宽巷子:在城区西部,青羊区辖,东起长顺上街分叉处,西止下同仁路,长391米,宽7.7米。因与邻近街巷相比较为宽,习称宽巷子。后更名兴仁胡同,又叫仁里头条胡同。民国时又恢复宽巷子旧名,沿称至今。
窄巷子:与宽巷子邻近的平行街巷,东起长顺下街,西止下同仁路,长390米,宽6米。因街巷与宽巷子相比而言较窄,习称窄巷子。后名太平胡同,又叫仁里二条胡同。民国时复称窄巷子,沿称至今。
井巷子:为紧邻窄巷子南保护协调区,长375米,宽10米,清初名如意胡同,后因巷北有明德坊而称明德胡同。街中有水井,故称井巷子,并沿称至今。1990年10月西城区人民政府在井旁立一石碑,上书“此井乃康熙年间满蒙八旗军驻防成都时饮水而凿,地处原少城明德胡同清军营房前。辛亥革命后因巷中有此井,改名井巷子”。
支矶石街,清末称君平胡同,相传严君平卖卜于此。民国初因街西有支矶石庙,故改名为支矶石街,沿用至今。为紧邻宽巷子北保护协调区,街长455米,宽8米,其中西口南侧为保护区内重点单位——成都画院。画院1980年6月5日成立,是我市一所绘画艺术学术研究机构。
世居窄巷子的蒙古族老人刘显之先生留下的《成都满蒙族史略》和其他资料
清《四川通志》附图《金水河图》
卢光明作《成都县志》之《将军衙门图》
清代满城街坊图
秦代创筑大城少城图
清代大城与满城图
宽、窄巷子为清代少城42条兵丁胡同的其中二条,是成都历史文化名城仅存的三个历史文化保护区之一。其由来可追溯到秦代成都城垣的发端,即大城与少城的创立。后历代毁了又建,建了又毁,至清初大体奠基于旧少城遗址上,又重建少城。
少城又称满城。根据“旗汉分治”原则,1718年(康熙五十七年)清政府令荆州派旗兵三千驻防成都,1721年又选留1600名永驻成都,成都才有了驻防旗兵。选址大城西垣内一新筑少城,作为旗兵营地及将军治所。时城墙四里五分,计八百一十一丈七尺三寸,高一丈三尺八寸。城设五门:东迎祥门,南首受福门,北延康门,南安阜门,西为大城清远门。设城楼四处,共20间。其中以迎祥门最壮丽,城楼上有两道匾,里面一道书“少城旧治”,外面一道书“既丽且崇”,均黑底白字。城墙由砖砌筑,中填黄土。城内设八旗官街八条,兵丁胡同42条,设官署8处。居住人口最多时达2万余人。
民国二年(1913年)开始拆除满城,与大城合并为一。
自秦代创筑大城、少城以来,成都城池格局历代多有变化,至清初虽遭张献忠义军烧成都,但城垣却毁废不多。清雍正五年(1727年)四川省会由保宁(阆中)迁来成都后,成都新城即大城才重新得以大修,由此看满城先于新城9年就开始在城西砌筑。据考,满城既为兵营,同时也为城池,不以兵营称谓而以少城或满城相称,首先必须是“城”这一形态概念。新城(大城)以皇城为中心,背北依重秦以来著名的武担山甚至往北之凤凰山高地,凤凰山高程572.7米,成都市中心高程495米,两者高差在77.7米,是平原城市背北再恰当不过的高丘高度及空间距离;向南则以府河、南河相交弯环处为格局考虑南向边界。在成都平原特定的平坦地形上,山虽不甚高,但终得山水合抱理想之地。有了此基本的山水、方位条件,南北道路轴线应运而生。同时又有东西轴线与其交叉而成“天心十道”。这便是“公厅”即本地最重要的公共建筑落基选址之处。此处若处在高地上则位置更佳。阆中格局如此,大城格局及皇城位置也如此。那么,满城核心、最高军事机关将军衙门是否也同理呢?经查,将军衙门选址更具形胜之位。
首先,从现在地形标高看,将军衙门标高505.54米,位于长顺上街三岔路口处。向南至现金河酒店门口为504.30米,向西至宽巷子与下同仁路交会处为503.76米,向东至桂花巷504.45米。而恰处于南北向的长顺上街均在505米左右。此种格局的脊梁上,亦自然成为满城格局的中轴线,线之北端出宁夏街正对武担山(正是造成宁夏街与长顺街发生偏斜的根本原因),南端至金河湾。将军衙门正处于长顺上街南段两条分岔至金河路的围合之中,同时又把将军衙门推至南北向长顺街的南端制高点上。于是长顺街就天然成为满城的中轴主干道路,成为满城街巷格局的脊梁。
后来有专家论证满城格局如鱼刺状。那么满城42条兵丁胡同8条官街东西向有序排列正是“鱼刺”再形象不过的体现。
这种格局不仅有山(武担)、水(金河)合抱的风水意象,还内涵了阴(水)阳(山)互补的居住地理环境理想。作为城池,内部若作居住用,则可以里坊格局划分街道以便于管理,并给生活、交通提供更大的方便。但满城又为兵营,兵营之营房首先要有行动快捷、便于集中的道路与房舍这样的结构关系。“鱼刺”状格局正是兵营房舍必须如此布置的结果。这样的格局来自北京城郊八旗军营房,满城不过是复制而已。长顺街则是集中各胡同兵丁将尉的主要通道,故宽11米,宽于所有的东西向胡同。而将军衙门正对长顺街,亦如将军点兵施号的将令台,选址又在尊贵的方位和高地上,这就形成了一个完整的兵营空间结构体系。另外,既为“城”的构想,又要风水、轴线、方位、公厅等城池格局要素的完善,同时与营房的特殊要求合并布置、考虑,最后成为兵营与城市的合二而一体,从中国城市格局的多样性而言,成都满城是罕见的城市规划样本。所以它显得很宝贵,其历史文化价值不言而喻。
宽窄巷子位置图
不仅如此,因其地形中间高,两边低,南北高,东西低,故可以肯定,满城选址还为排水作了先期踏勘考察,尤其是金河从西南沿城墙流过,西方、南方的大片营房排水均流至河中。故以宽窄巷子为点解剖,几无下水体系,皆为明沟顺街道两侧向西偏斜,地表水顺街面向西流动排出。长住居民反映,积水就地渗透很快,从未发生水患,恐也是无下水沟渠的原因。
至于当时满城位置在大城荒郊,处在成都的上风上水之地,时水质良好,清风爽气,兵马出行方便等原因,也可能是选址的重要考量。当然,根本还是“旗汉分治”的政治原因,就具体选址而言,上述则为实施政治管理的规划。恰是这些考虑,为乾隆后期旗兵生活渐自困难,在郊外划地耕作以解决生计创造了条件。
宽巷子、窄巷子地区影像图(2000年现状)
宽巷子25号段风貌
上面满城格局之说,实际上我们在探讨它的形态成因,即以长顺街为南北轴线,然后在东西向布置官街8条,兵街42条。这种布置按《满洲实录》卷三说:“各照方向,不许错乱。”此说依据为风水之虞。《满城社会调查报告,北京满族调查报告》言:东方属木,由于白色代表金,白旗驻防东方,就可以金克木。西方属金,由于红色代表火,红旗驻防西方,就可以火克金……以此类推金、木、水、火、土五行的相克,故满城内正黄旗、镶黄旗的官兵居于北方,正红旗、镶红旗居于西方,正白旗、镶白旗居于东方,正蓝旗、镶蓝旗居于南方。宽巷子、窄巷子为满城西方,住的就是镶红旗。这样的等级制度和方位布置在风水盛行的清代是城池、城镇、建筑选址、布局的基本出发点,自然也是兵营布置遵循的出发点。虽然个中观念精华与糟粕俱存,但从历史唯物主义观点来审视,满城最初的形成正是在这种古代规划思想指导下的结果。不仅满城格局如此,涉及具体住宅的朝向方位,内部空间的布置、划分、组合,理应也“各照方向,不许错乱”,所以,历史上所有街巷建筑的大门皆不相对。若无法避免,也想方设法使大门斜开。宽窄巷子现存部分住宅大门斜开(比如宽巷子11号大门),正是在这种风水观念指导下的结果,其住宅的私密性得以保护等方面仍是值得肯定的。也正是“各照方向,不许错乱”,从大格局到小尺度空间的约制,使得城市景观的形态风貌富于变化。
毕竟里面住的是军人,自乾隆后期起,金川战役战事渐息,军饷停发,清廷划一亩多地给每一甲兵解决生计,让其自力更生,同时由公家修3间住房,四周围以土夯墙,称为一甲地,住一甲兵,这样大的占地面积自然多为庄稼地,建筑面积甚小,在150平方米~180平方米之内。我们现在看不到大城内纯为居住的前店后宅的、各省移民严格遵循的合院仪轨格局和高密度的建筑现象,经实测和了解,绝大多数住宅为一排3间住房,位置在传统合院正房处,即在大门进去正对着的方向。其他诸如厢房、下房、厨房等功能空间是没有的。后来有居民叙述说有走马转角楼、绣花楼等者,皆为后来人丁增加、转让、贫富分化等随历史变化而变化的结果,尤其是辛亥革命满人被逐出和抗日战争外省人进入时期的变化最大。就是到了清末至民国时,满城仍旧保留着“城市中的乡村”风貌。傅崇矩在《成都通览》中言:“城内(笔者注:指少城)景物清幽,花木甚多,空气清洁,街道通旷,鸠声树影,令人神畅。”此大约说的是光绪、宣统年间。陈一石也在《成都满城史》中说“每户的空地甚宽,加以旗人长于园艺,栽花养鸟,所以各家都在自己庭园里竞相绿化,百花争妍,使整个满城四季飘香,林幽蝉噪”“并不是像今日鳞次栉比、店铺相联的房舍,而是林荫覆盖、错落有致的小庭园”“是鸟语花香,景色宜人的地方”。尤其是蒙古族老人刘显之编著的《成都满蒙族史略》中,更以亲历之事实描述清末民初满城景观,现摘录如下:
少城面貌:我们满蒙旗兵所驻在的少城,位于成都城区的西部。北由西大街、八宝街,东沿东城根街经半边桥君平街,过小南街南口止于西较场与南较场之间的大城城墙上。西面自老西门西城根抵西较场。周四里五分。偏南有一湾流水,从西较场(现军区后勤部)穿过密林向东流去,叫作金河(现是人防壕)。它是唐朝白敏中所开,今已有一千三百多年。河岸上还有两处稻田,一在西较场金河进入城内地方,一在现今人民公园。
少城街道作蜈蚣形,各胡同是脚,长顺街是脊梁。胡同内是官兵营房。营房是把每一胡同的两对面空地划分成四十多个小段,叫作甲地,面积约一亩左右,中间建修住房三间,占地约十分之二,因此各家都有很宽的空坝。房屋是各不相连,年代久了,这些房子都很破烂,墙垣也多倒塌。在长顺街、祠堂街、西大街略有几处铺房,房子也不够好。由于每家都有空坝,我满蒙族的人又多喜欢花木,到处都种有不少的花果竹树及高大的楠柏木。另外还有几处池塘,种上美丽的荷花(方池街、祠堂街、四道街)。
少城人口稀少,房屋破烂,看起来显得是一种冷清的景象,虽然说它是个寂寞的荒村也不算过,但如果从那些花果竹树方面看,又似别有天地。因为你从大城人烟稠密、房屋连接的街道经过,一下由西御街或羊市街进入少城,看见行人寥寥,房屋稀疏,会使你有一种幽静而深远的感觉。在春天的时候,各种珍禽奇鸟在林间飞鸣,发出清脆的歌声;海棠、玉兰及桃李等花红白相映,树木已长出新叶,嫩绿的颜色好像染上人们的衣襟。到了夏天,如在浓密的树荫下慢慢行走,并不感觉烈日的威胁,耳边时时听到黄鹦和抑扬不断的蝉声。晚来凉风又送来荷花的清香气味。尤其夏天已过,到那天朗气清的秋天,桂花盛开,馥郁的香气,你无论到少城任何一条胡同,都会闻到这种香味。整个少城简直成了香国,逗引你流连不忍离去。至于梅花盛开的冬天,也是没有一家没有三五株或红或绿地开着,颜色美丽,气味芬芳,真使人欣赏不尽。这种景象很像古人写的桃花源,也像小说中写的迷了路的人行走在没有人烟的荒山中忽然看到了花木茂繁,人群往来,能不欣然欢喜吗?但这种景象在一九一一年的改革和一九四九年解放两个阶段后,以之代替的则是机关、学校、工厂、商店和巍峨高大的楼房,又另是一番繁荣的气象了。
除此之外,好多关于满城的文献都大同小异地谈到了上述居住及环境状况。可喜的是今作为历史文化保护区的宽巷子、窄巷子范围内依稀仍保留着这种优良的绿化风气。
宽窄巷子两条街道两侧临街住宅立面,现仍遗存着若干不同风格、不同材料、不同朝向、不同尺度的大门,它们仍沿街串联在一起,形成历史文化保护区的一大空间特色。又由于大门做法的讲究,社会上产生一些误解,以为里面必然是比大门更豪华的合院空间,亦必然是雕梁画栋、流金沥彩的装修和装饰。这一点,上面我们已经作了探索。但街道清一色黑灰色调的墙体及大门气氛,感觉像北京的胡同,使人不得其解。实则此正是清代建筑规范的结果,正是清以来等级制度的反映。比如住宅,远至春秋时代,大者“天子九间,公侯七间,士大夫五间”的住宅制度就规定什么样的人该住什么样的住宅,甚至于坟墓(阴宅)里的棺木,大小都有相对应“九、七、五……”数的规定,比如长沙马王堆内棺木尺度皆按公侯制行事。延至明清,都有严格的界限,小到府第正门用的门环,如公主府第正门用“绿油钢环”,公侯用“金漆锡环”,一、二品官用“绿油锡环”,三至五品官用“黑油锡环”,六至九品官用“黑油铁环”等等。故满城几十条兵丁胡同,屋主连九品都算不上,只有黑门无环了。《大清会典事例》也说“公侯以下官民瓦屋……门用黑饰”,实则为一般百姓之门。如是正与北京胡同相似。加之无论砖砌门、木构门依清“旗汉分治”而在大门上有别于汉人做法,故仿造北方胡同民居大门亦正是“旗汉分治”有别在建筑上的标志性反映。如果说满人在东北老家时,以骑射游牧为主的幕帐居住形式并无此般砖木结构大门,定都北京后才渐自认同了北京胡同居住文化,那么当时真正居住在胡同者恐怕不多。但旗兵到了远离皇都北京的地方后,又把地位降低到和老百姓一样的平凡,要在建筑尤其住宅上标明身份,唯以首都胡同作为与当地住宅的区别最能说明“皇室”身份。确实也如此,和四川成都全木结构、木料本色的低矮龙门比较,满城砖砌垂花门普遍尺度宽大、高朗、全涂黑色,走进去如漫步北京胡同。刘致平《中国建筑类型及结构》言:“四川成都许多大门用垂花门式,做法很像北方的垂花门,配着简洁的砖墙,由大街上看过去真是绮丽之至,令人驻足不忍遽去。”更加力证了满城胡同之北方神形韵味的由来。但这里存在的一个疑点是宽窄巷子现存大门普遍尺度高大,恐多已不是大门最初的原始尺度,经300年沧桑,各类人物进入,处处都显示改造的痕迹。加之人们爱炫耀和顾脸面,逐渐把大门越做越大。比如宽巷子25号宅,正是不断改造的结果。
宽巷子东入口
窄巷子30号以西街巷风貌
窄巷子30号庭院
宽巷子37号门与庭院
窄巷子24号门楼
窄巷子6号庭院
宽巷子25号小姐楼
窄巷子市井风貌
八旗兵驻区旗分图(满城驻兵分布图)
窄巷子6号以西街巷风貌
当然,现存宽窄巷子的大门不唯此一类,还有屋宇式门,即在下厅中间或左隅开门,进去有门屏,人由左右进出至天井。再有本地的龙门等。实则,宽窄巷子从对居住文化保护的角度言,最值得保护者也仅剩当街大门集萃了。虽然经受西方文化影响,不少砖砌大门自民国初以来经改造,上部出现三角形、圆弧形等仿小教堂做法,但主调仍不失时代特征。街上仍弥漫着一股清代市井古风,尤其是窄巷子29号到45号段最纯正。
宽巷子西段南侧天主教房屋
宽巷子26号改造后店面形态
宽巷子民居三开间原貌
窄巷子市井风貌
窄巷子30号庭院绿化
从上述诸点,本文实已不断接触现状,作为历史文化保护区,空间的历史状态在街道和大门内部已发生了巨大变化,主要表现在以下几方面。
这一类建筑占地总数为14735.2平方米,约合22亩多,已占据保护区总面积85.2亩的四分之一多,建筑体量和尺度普遍大于砖木结构的保护区传统民居,加之都有二至三层楼层,墙体仿木构大尺度结构框架外露,几乎都涂成十分抢眼的红色。整个仿传统民居介质体系无真实信息可言,严重冲击保护区历史文化的形态风貌。
这是一个遍及宽窄巷子所有传统庭院内外的现象,建筑面积总和远远超过原始建筑空间。做法、用材、空间等五花八门,严重影响通风、排水、采光、气温、湿度、交通、环卫等,不知者以为是传统民居痼疾所致。实则换成钢筋水泥房子,上面的现象一样也会产生。另外在宽巷子39号至61号,长67米的街段临街民居间,全为简易平房,虽用传统材料修建,但无文化内涵,临街立面纯为集体宿舍式统一的门窗,没有保留价值。
根据数据,参考地形图和实测相结合的测算,依据现存每户空间以夯土墙围合的临街宽度为准,估计宽巷子清代共居住兵丁36户,一户一院,街巷两侧各18户。窄巷子与宽巷子完全一样。两街共居住兵丁72户,72个庭院。
窄巷子25号老虎窗
窄巷子6号屋宇式垂花门洞
窄巷子38号外墙面
窄巷子27号近代建筑
其中平均每户住宅面阔22米左右,进深约32米,每户占地面积平均约700平方米,折合1亩多,和史料记载是相吻合的。每户内究竟有多大的原始建筑面积,经普查和实测,清代初建时的木构建筑已不存在(本调研组正在请成都理工大学教授作碳-14测定),现存者均为后来陆续修建或在原屋基基础上扩建和完善的。尤其是在原基础上完善者,如宽巷子2号、31号,窄巷子31号等,建筑面积都大致相等,计162平方米,其中每宅进深9米,面阔18米。若按清制,兵丁、百姓每宅建筑只能有3间计算,每间建筑面积至少在50平方米。若用现代居室面积作比较,显然太宽大了。实际上清制要求每宅3间,并没有规定每间面积。再则,兵丁们“弃兵从农”,房间小是无法从事农业生产的(指庭院间花木经济)。还有,兵丁均为八旗后裔,个中有些优惠也是可能的。不过仔细算来,3大间中间再隔断成卧室、客房、堂屋等功能空间,每间也就平均20多平方米。故上述情况经研讨,现状是符合历史事实的。那么,每户余下500多平方米的肥沃空地实为花木地,也足够每户兵丁生存了。
由于为清政府统一修建,除面积一致外,建筑形制与用料、做工理应不会有优劣之分。毕竟又是满人掌权建房,对汉人民居及文化了解深度有限,故从现状分析,临街民居大门“各照方向,不许错乱”,和汉人城镇民居做法是一致的。但仅有大门讲究,且不是下房中间或左侧开门,就是说无下房建筑空间,实为从一道围护墙中开门,此做法可以从增大耕地面积理解,故而也无厢房,无严格意义的天井和其他用房均同理。那么,现存民居凡有违此做法者一律可视为后搭建者。因为生存是第一位的,故庭院内耕地面积越大越好。
这样的“军人民居”进入装饰层面,如果按一条街36户计算,整个满城官兵共分布于42条街巷,总计1512户,此数据也是符合历史事实的,可想而知在当时是非常巨大的工程,那么仅用于装饰的钱也定然是个大数目。所以,宽窄巷子传统民居少见雕刻、彩绘之类,自然也是从精简节约出发。
成都满城从宽、窄巷子以点带面进行研究,使我们看到中国城市中一个极为罕见的特殊形态:一个有中轴线和城墙的城池格局与兵营的完美结合体;一个不断增加建筑类型,模糊兵营形象,不断完善城市功能的特殊的传统城市发展形态;我国罕见的民居类型和庭院农业经济模式(包括由生产粮食逐渐过渡到花木栽培销售,进而影响成都西部郊区花木业的发展);我国罕见的城市居民住宅用地分配模式带来的城市绿化景观和生态效应,以及被整个成都市内庭院绿化的民风影响的超前的城市居住模式。
窄巷子市井风貌
宽、窄巷子为清以来满城42条街巷中的两条街巷,是满城街巷格局中一个有机的组成部分。两街东西两端分别由长顺上街、下同仁街衔接,控制、协调、界定、识别的空间元素调动组织得非常有机和流畅。各街口街面尺度与立面建筑尺度之比,构成住地居民熟习的家门空间共同特征。
尤其街面宽度虽然和其他街口差别不大,但一些细微特征、做法、景深差异、建筑细部特点、绿化树种形态等等均与街面一起,协调成一街入口与其他不同的固有空间征候。如宽巷子的“宽”与窄巷子的“窄”,本质上就是街面宽度两相比较在尺度上反映的结果。宽巷子宽7.7米,窄巷子宽6.6米,差别本来不大,但居民对尺度微妙差异的敏感和洞察,很快就会影响到对街名的称呼,以至后来对更名为兴仁胡同、太平胡同也不屑一顾。由于各历史时期对街道的修缮,两街巷地面标高普遍高于两侧民居地面。原因是一次一次铺垫,无论是泥地、三合土,还是后来的沥青路,均在原标高上进行。这就导致了民居内普遍潮湿,排水不畅,进而导致木构朽烂的局面,加之搭建过多,密不透风,则更加剧了环卫的恶劣程度,形成恶性循环的居住环境。所以,不少人责怪传统民居潮湿阴暗,这并不是开始时的状况,其中抬高公共路面是一个很重要的原因。当然,现存路面显得破烂,和大街通衢比又显得“卑微”和冷清,那是有关人士对历史文化街区的认识深浅不同进而影响行为的结果。
满城兵丁胡同庭院复原意象图
窄巷子38号庭院绿化
窄巷子38号庭院楼道
窄巷子32号庭院绿化
窄巷子40号李华生宅内部改造(画室)鸟瞰
综上,调查研究宽巷子、窄巷子,使我们看到城市发展在局部区域的历史文化脉络。它呈现的复杂性带来了一个城市形态的丰富性。此是中国城镇个个不同,进而城市个性得以塑造、得以张扬、得以整体识别的内涵所在,尤其是历史文化名城、名镇,依赖的就是诸如此类的时间与空间积淀,这些东西消失了,历史文化名城实际上也就消失了,因为它没有了可资判断的城市空间载体,特别是范围较大的空间载体组团。此实已是“文明的碎片”了,保护它,还原它的本来面目,这是一个有修养、高素质民族本来该做的平常事,理应不需大声疾呼。
满城自兴建起,绿化之风延续几百年,在成都有口皆碑,并构成满城生产生活的空间形态、生态环境,形成一大特殊城市文化景观。此结论是本次调研最大收获之一。因为它形成的人居环境,城市人均绿地拥有率,对城市乔木多品种的栽植等等,均具有无可挑剔的超前性和现实性。无论是无意为之,或是有意为之,抑或是生存需要,满城绿化模式都向城市发展提出一个严峻课题:生存质量与现代社会高速发展之间,城市化进程与人居环境之间,如何解决人类终极目的,即提高生存质量。一定意义上讲,满城绿化是清以来满城声名鹊起的一个重要因素。清代满城居民靠花木栽培的庭院经济谋生。清末傅崇矩说“花木甚多,鸠声树影”,又有学者言“竞相绿化,百花争妍,四季飘香,林幽蝉噪,林荫覆盖”。80多岁的居民说,清末民初,尚无人民公园,大城居民多到奎星楼和同仁路一带休闲玩耍。说那里就是森林公园,足见当时绿化的状态和风貌。时多高大楠木,树冠之上,白鹤成群,叫声不断,自然和人文生态良好循环到极致,真正完整定义和诠释了“生态”一词。尤其是叶圣陶先生1945年在《谈成都的树木》一文中,更把少城绿化描绘得淋漓尽致,他说:“少城一带的树木真繁茂,说得过分些,几乎是房子藏在树丛里,不是树木栽在各家的院子里。山茶、玉兰、碧桃、海棠,各种的花显出各种的光彩,成片成片深绿和浅绿的树叶子组合成锦绣。”延至今日,此风此景仍盛,仍旧形成草本、藤蔓、灌木、乔木群落性整体生长的态势。个别庭院景象幽深,任其蔓延,遂成无序状态。就连农民进院收潲水,也说像他们农村院子,实则构成一幅城市中的乡村风貌。仅就数百棵乔木论,有胸径达50厘米、高20多米者。种类有皂角、香樟、枇杷、女贞、红梅、法国梧桐、泡桐、构、桉、洋槐、榆钱、苦楝子、桑、樱花、酸枣、白杨、银杏、黄桷、核桃、棕榈、松、紫荆、水冬瓜、桃、李、麻柳、杉、罗汉松、蜡梅、樱桃等数十个品种。还有斑竹、慈竹、夹竹桃、万年青等其他植物。加之灌木、藤蔓、花草处处繁茂生长,宽窄巷子绿化古风至今昌炽不衰。很显然,这就构成了宽窄巷子的大空间特点,同时里面又包含了发生发展的历史文化因素,所以它是很值得继续弘扬、提倡的风气,也是保护、改造、规划功能在文化定位上应深思和重视的方面。
窄巷子40号庭院绿化
窄巷子1号绿化