



随着狩猎经济向农耕社会的演化,人类逐渐离开自然岩洞,选择临近他们从事农业生产的地方搭建住所,其中在北方最普遍的方式是掘地为穴,立木为棚,建造人们称之为穴居的栖身之所。墨子云:“古者人之始生,未有宫室之时,因陵丘堀穴而处焉。”
又说:“古之民,未知为宫室时,就陵阜而居,穴而处”。
《周易·系辞下传》中亦称:“上古穴居而野处。”
在北方的原始人类栖居自然岩洞的同时,南方湿度较高的沼泽地带,人们则依靠树木作为居住的处所,因为人类的祖先原本就是居住在树上的类人猿,栖身树上是人类本能的居住方式之一。为了使栖身之所更牢固和舒适,原始人像鸟雀一样构筑棚架,搭接树枝,遮盖树叶,作为避风遮雨之所。古人对此屡有描述,《韩非子·五蠹》中说:“上古之世,人民少而禽兽众,人民不胜禽兽虫蛇。有圣人作,构木为巢,以避群害。而民悦之,使王天下,号之曰有巢氏。”
《礼记·礼运》也说:“昔者先王未有宫室,冬则居营窟,夏则居橧巢。”
《孟子·滕文公》中说:“下者为巢,上者为营窟。”
晋代张华《博物志》中说:“南越巢居,北朔穴居。”
这些说的都是中国远古时期分布于北方和南方的两种不同居住方式。经过漫长的孕育,最终孵化出中国古代原始建筑的雏形,即穴居建筑与干栏建筑。巢穴二字也定格在中国文化中,成为中国人称谓藏身之所的代名词。
长期积累的生活经验使得人类慢慢懂得,虽然他们赖以居住的树木和岩洞都是自然物,但他们完全可以根据自然条件和自身的需要,对这些自然物及其环境进行适当的加工和修整,从而改善自身的生存环境和生活质量。例如将栖居的树木去掉一些枝杈干茎以及用茎叶填补空当而形成居住面,清除岩洞有碍栖息的石头以及填补低洼的地面等,所有这些实践在不同程度上都逐渐萌发了原始人类的营造观念。
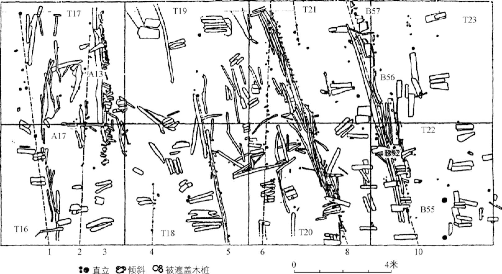
在中国黄河流域中游有广阔而丰厚的黄土地层。黄土地层土质均匀细密,含有石灰质,土壤结构呈垂直节理,不易塌落,便于挖掘洞穴,这为原始先民采用穴居方式建造住所提供了条件。由于营造穴居简便易行,在距今约六七千年,中国黄河流域的原始住民普遍采用了穴居方式。实际上不仅黄河流域,长江、珠江流域以及西南、东北等地区,只要具备类似地质条件,原始人类多会在地势高敞的地方,采用穴居的方式营建居所,例如湖北大溪文化遗址、江苏青莲岗文化遗址、福建南山遗址等。在母系氏族社会,自农耕经济开始占据主导地位,居住方式逐渐趋向定居之后,穴居这一形式在中国的广大地区得到了迅速的发展。
从距今约7000—5000年的仰韶文化至距今4000多年的龙山文化,已发现的原始穴居遗址遍及西北与中原大地,如陕西的西安半坡、临潼区姜寨、华县泉护村、华阴横阵村遗址,河南的郑州大河村、淮阳平粮台、密县莪沟穴居遗址,河北武安磁山文化遗址,甘肃的秦安大地湾二期、马家窑、半山、马厂遗址,内蒙古海拉尔西沙岗、乌尔吉木伦河流域的富河沟门遗址等。仅在山西一地,已经查明的与穴居相关的新石器文化遗址就多达300多个
,这些遗址均有穴居文化遗存出土,大多为穴居和半穴居类型。
原始穴居建筑的产生和发展呈现出一个渐进的进程,先是模仿远古人类的洞居和崖居方式,例如在黄土断崖上掏挖横穴,即所谓原始窑洞。横穴建筑的构建不是增筑而是减法,即对黄土地层进行削减而形成居住空间。这种横穴是一种只重空间经营的居所,除穴口外没有更多外观体形的建造形式。横穴的结构形式为生土拱,无须任何构筑,只要具有足够的拱背厚度就比较牢固安全,即可满足遮阴、蔽雨、防风、御寒等基本要求。原始横穴遗址多见于中国西北一带,如距今5000多年的仰韶晚期的甘肃宁县古窑洞遗址,洞室圆形,直径4.6米,穹隆顶;距今约4500年的新石器时代宁夏海原县菜园村林子梁遗址,平面略呈椭圆形,直径约5米,上为穹顶,并有木柱进行支撑;陕西武功赵家来村窑洞遗址属于客省庄文化二期,其窑洞前有夯土墙围合成院落和畜舍,洞室前壁用草泥墙或夯土墙封护。此外,在内蒙古凉城县岱海周围及山西石楼岔沟、襄汾陶寺,甘肃镇原常山等地也发现了距今约五六千年的横穴遗迹。由于横穴的结构方式极为简易、经济,因而自其出现以后,虽然逐步向竖穴、半穴居方向进化,但横穴原型并未消失,而被保留下来继续予以采用,且得到不断改进。
横穴的基本条件是依赖断崖地貌,但有些地方缺少这种地貌条件,于是人们尝试在陡坡上掏挖横穴,但由于穴口土拱过浅,很容易塌落,人们不得不又尝试新的挖掘方法。他们先是在坡地上铲出一个垂直的壁面,然后再在壁面上向内掏挖水平方向的洞穴。这种坡地上的洞穴,常因土拱厚度不够而发生坍塌,为此人们常用木柱支撑洞口,或在坍塌的横穴入口补建一个顶盖。这样便启示了横穴制作的新工艺,即先在坡地上开小口垂直下挖,并扩大内部空间,到预定深度,再于穴的底部横向掏出一条通向穴外的走道,然后在穴内立柱封顶,其顶部则用树枝茅草覆盖,这样就出现了一种袋状的竖穴。这种平地上的袋穴,可以由穴底向斜上方掏挖出一条出入的隧道,不太深的袋穴则可以省掉出入隧道,而由顶部穴口进出,这样便形成了纯粹的袋形竖穴。原始横穴的缺点是完全依存于黄土地貌条件,缺少广泛的适用性,也不易形成氏族社会集合而居的格局,相比之下,袋形竖穴则可以在缓坡及平地上建造,扩大了选址的自由度,因而得到了迅速的推广和广泛的应用。
袋穴底大口小,其纵剖面为拱形,空间形式单纯而实用。起初人们用树木枝干、草本茎叶临时遮掩穴口,但遇有暴风骤雨,常毁于一旦。为加强其整体性和牢固性,人们用扎结方法制造出形状类似斗笠的活动顶盖,平时搁置穴口近旁,夜晚或遇雨雪时用其掩盖洞口。这种活动顶盖要随着昼夜、晴雨、出入而移动,还是很不方便,经过进一步改进和完善,最终形成了搭建在穴口上的固定顶盖。穴居发展到此时,开始具备了固定的外观体形,即在地面上可以看到一个个小的窝棚。随着棚架制作技术的熟练和提高,可以制作更大、更为稳定的顶盖时,竖穴深度开始逐渐变小,以有利于防潮和通风,且便于出入,如此发展的结果遂出现了更便于居住和出入的半穴居形式。半穴居的下半部是挖掘出来的,上部则是构筑起来的,既有减法又有加法,二者共同构成穴居的内部空间。建筑因之从地下变为半地下,并开始了向地上的过渡,也开始展示其形象。地面建筑较穴居和半穴居要求更坚固的墙体和更完善的屋面,这就要求解决和改进许多结构和构造上的问题。考古发掘实例证明,中国的先民在当时条件下很好地解决了这些问题,例如采用绑扎方式结合的木梁、屋面支撑结构体系,木骨泥墙的围护垣墙,夯土和室外防水等,这些都为日后中国传统建筑的土木结构形制,提供了宝贵的经验,并奠定了最初的基础。
半坡F37复原图
半坡F21复原图
根据专家的复原设计,西安半坡遗址中的房子主要分为小房子和大房子两种单元形式,小房子是母系社会对偶生活的住房,有方形和圆形两种样式。方形的住房常在穴坑的一侧设有斜向门道深入穴内,在穴坑前和内部形成一个小小的门厅,作为门道至住所的前导空间。有的在门厅左右设有两道矮墙,用以区分门道与主空间,稍晚的穴坑则多将门道布置在坑外。在门道前方,常设置有低矮的土坎作为门限,用来防止雨水倒灌。在穴坑的中央位置一般布置有灶坑,居中布置的目的在于方便人们围绕火塘取暖、煮烤食物,也易于防止灶火燎燃草顶。面对入口方向,门厅右侧矮墙后面是就寝的地方,左侧矮墙后面则是贮藏食物和工具的地方。稍大一点的穴坑中部靠后立有中心木柱,也有的是在火塘两侧对称布置一组木柱,用以支撑覆盖穴坑的屋顶。早期的屋顶与墙壁尚未分离,通常是在坑边直接排立斜椽与中心柱相交,构成四坡式的屋顶,柱、椽交接以及椽木与横向联系的杆件的交接都是用藤葛类或由植物纤维加工而成的绳索扎结固定的。椽木上置有横向枝干并扎结固定,构成为一个近似方锥体框架,在椽间空当铺盖兽皮、树叶、干草,和以黄土胶泥,做成防水的屋面。出于防火需要,在椽木的内表面涂以草筋泥,有的遗址中在接近火塘的中柱根部还残留有“泥圈”,证明原始时期人们已经掌握了在木构件上涂泥防火的方法。在屋顶的顶端或屋面的前坡常开有一个窗洞,即露天的天窗,用来排烟、通风、采光。
随着人们要求改善生活条件的愿望日益增强,同时对建筑结构、材料和构造知识的更多了解,半穴居建筑在结构与构造方面也日趋完善,其中地坑深度逐渐变浅是其最根本的变化。最迟在母系氏族社会的中晚期,人类建筑逐渐由地下转至地面,这不但扩大了建筑内部的生活空间,提高了使用者的舒适度,更重要的是使人们在创造过程中进一步认识和利用了自然,标志着人类在很大程度上已经逐步摆脱了对自然的模仿和依赖。位于半坡居住区中心的大房子(F1)是母系氏族公社中氏族首领及老弱病残住所,兼做氏族会议、庆祝及祭祀活动的场所,也是最早出现的具有聚落管理、聚会和集体福利性质的公共建筑。除半坡外,在陕西西安市临潼区姜寨、华县泉护村、西乡县李家村,河南洛阳市王湾,甘肃秦安县大地湾,宁夏海原县菜园村等处,都发现有功能类似的大房子,只是形制上有所不同。在中国尚存母系氏族制度的纳西族住宅,至今仍保留有类似的例证。半坡遗址中的大房子平面方形,面积约160平方米,出入口位于东墙中间,宽约1米,面向广场。室内外地平大致相等,在中心灶坑周围对称布置有四根立柱,前面是宽敞的大空间,应是氏族聚会和举行仪式的场所,后排柱子之间筑有隔墙,将空间分隔为三个小室,应为居住用房,构成了前堂后室的格局。据专家复原,大房子的外形为四坡式屋顶,一侧正中开有门道,在正对灶坑的位置开有天窗。通过对大房子的位置、形式及空间形态的分析,可以推断半坡遗址中的大房子构成了原始聚落建筑群的核心,体现了团结向心的氏族原则。有学者分析认为,大房子的结构形态反映了史前人类对宇宙结构的理解,四根立柱所支撑的四边水平横梁构成了人们概念中的宇宙四极,象征着宇宙的边界,极字同栋字,上栋下宇,四个方向的栋梁支撑象征天篷的屋顶。
半坡F1复原图
半坡F24复原图
在半坡遗址上层发现的F24和F25用房是半坡晚期的地面建筑,这两处建筑遗址的平面均为长方形,在其内部的灶坑左右立有两根木柱,在前后左右墙内与中心柱成对位关系设有十根承重的立柱,合计12根,构成整个房屋的支撑体系,并将房屋的平面划分为一堂二内、中轴对称的空间格局。据复原研究,建筑的墙面与屋顶已经完全分离,房屋的长向一侧正中开有大门,形成主立面和外立面的中轴,上部采用纵横绑扎的梁架体系,屋面为四坡或两坡顶。墙内立柱之间支有密排的细柱,墙体不承重,纯为围护结构,这正是中国木构架建筑体系的雏形。这一时期的建筑室内地面逐渐接近室外地平,木骨泥墙逐渐增高,屋顶开始出檐并逐渐加大,以便保护墙体免遭雨淋和防止墙基受潮,陕西武功县赵家来村出土的陶制圆屋模型印证了这一现象。随着屋檐加大,也促进了承檐结构的发展,檐下立柱支撑悬挑的屋椽,即是一种原始的承檐方式。墙体增高以后,有了在墙上开洞进行通风采光的可能,于是出现了牖。建筑的基本元素如门、窗、屋顶、台阶等元素在原始建筑中逐渐浮现和强化。
半坡F25复原图
在原始穴居的室内,由于下部空间多为挖掘而成,受穴底和四壁毛细现象的作用,内部地面十分潮湿,为此人们采取了堇涂(涂抹加草的细泥)和烧烤的方式,即所谓堇涂陶化以防潮湿,《诗经》中的“陶复陶穴”,说的正是对早期穴居进行堇涂烧烤的防潮处理方法。此后又出现了被称之为“垩”的石灰抹面技术和粉刷技术,如河南安阳鲍家堂遗址穴居H22的居住面即进行了这种处理,其做法不仅卫生、美观,也兼有一定的防潮作用,而且还增强了室内的光线亮度。这一做法在龙山文化时期得到推广,并沿用到商周时代。
新石器时代陶屋
通过对原始穴居建筑的发展演变进行梳理,可以发现穴居建筑的发展遵循着如下历程:横穴(黄土阶地和断崖地段)—半横穴(麓坡地段)—袋形竖穴(平地掏挖,口部以枝干茎叶作临时性遮掩,进而发展为编制的活动顶盖)—袋形半穴居(浅竖穴,口部架设固定顶盖)—直壁半穴居(直壁竖穴,顶盖加大)—原始地面建筑(半穴居,矮墙体加屋盖,门开在屋盖上)—地面建筑(高墙体,门开在墙上)。在这一发展过程中,人类穴居的方式经历了一个从地上到地下,再到地上的一个过程,其中生产生活方式、建筑技术与工具的掌握、建筑材料的获取和应用等都对这一过程产生了影响。居住面上升到了地面以后,维护结构即围墙加屋盖全是构筑而成,其中墙与屋顶连为一体的做法,保留着对原始穹庐式窝棚的记忆;也有将墙与屋顶相互分离的做法,预示着人们对建筑形体已经有了初步的区划。地面建筑的进一步发展是出现了分室建筑,即对大空间进行分隔、组织。由半坡F22等遗址已经可以发现原始社会时期人们已利用木骨泥墙将内部空间分隔为几部分,郑州大河村遗址的长方形分室建筑便典型地表现出建筑内部空间的组织化。据考古发掘报告,大河村遗址中有F1—F4四座连体建筑,其中F1、F2构成一座相对完整的长方形建筑,内有隔墙,把内部空间分隔为三部分,F4与F3则依附于F1一侧。F1—F4实际上是组合在一起的复合式建筑,其复杂而横长的体形已经完全消除了穴居的痕迹。就工程技术方面来说,一栋多室的建筑较一栋一室的建筑更节省外围结构,从而能节省材料和加快施工进度;由于减少了外墙面积,也提高了室内的隔热保温效果。这种一栋多室的建筑形式首先源于实际功能的需求(公共活动增多,家庭成员增加等),反映了使用成员之间关系的新变化,标志着建筑空间组织的新阶段,同时也预示建筑空间将赋予建筑形式新的变量。
半坡仰韶文化建筑发展序列图表
半坡F22复原图
根据考古学和人类学资料研究推测,在原始人类普遍采用穴居方式之前或同时,地球上已有地面窝棚这种居住方式,它同样是人类通过对自然岩洞的模仿并加以创造所形成的。在我国虽然尚未发现原始窝棚遗址,但在法国发现有旧石器时代中期尼安德特人建造的窝棚。此外,在俄罗斯、捷克和欧洲其他地区也都发现有旧石器时代晚期的窝棚遗址,这些窝棚一般采用圆形或椭圆形的平面,直径4—6米不等,中间有的用猛犸象的长牙或骨头做柱或支架,表面蒙以兽皮或树叶作为围护。由于窝棚没有墙壁,围护性能差,活动空间小且不便,后大多被穴居所取代。在现代的北美印第安人原始部落、非洲现代原始部落以及中国东北鄂伦春人居住地仍可见到窝棚这种古老的居住方式。
郑州大河村F1—F4遗址
在中国南方地区,原始人类常选择水源和动植物丰富,便于渔猎和采集的地区居住。这些地区多为地势低洼的水网沼泽地带,一般缺少可供栖居的天然洞穴,人们为了营造自己赖以栖身的居所,于是利用自然的树木架设棚屋,他们选择分叉较为开阔的大树,在其间铺设枝干茎叶,再在其上搭建遮阳避雨的顶棚,做成一个类似鸟巢一样可以栖息的窝。在太平洋岛国巴布亚新几内亚东南部,至今仍有土著民族将住所建于一棵大树上,用长梯上下。为了将居住面铺设得平坦而舒适,人们进而尝试利用相邻的几株大树架设更宽大平展的巢居,如利用四棵大树为主干,在其间架设居住面,其上再搭建屋盖。中国四川出土的青铜
于,其上的象形文字“
”,就表现了这种依树构屋的形象。随着生活方式的演进和生产工具的进步,同时也为了便于生产和聚居生活的需要,人们在没有自然树木可依借的地方,仿照树居的方式,用采伐的木头作为桩,在地面上做成架空的居住面,从而将巢居转移到地上。由此,人们开始摆脱单纯依赖自然条件的局限,逐步发展出后世称为干栏式建筑的新的建筑类型和居住方式。
古代文献中记载的“干栏”,是指“结栅以居,上施茅屋,下豢牛豕”的竹木建筑,象形文字中的“
”似为这种建筑的写照。直至今日,在中国西南、东南少数民族地区,仍然使用着这种建筑方式;东北地区的朝鲜族所使用的架空地面的房屋也属于这种类型。在母系氏族社会的鼎盛时期,这种干栏式建筑已经被广泛地使用于中国南方的湖泽地区,遗存的实例有浙江余姚河姆渡、湖州钱山漾,江苏常州圩墩、丹阳香草河、吴江梅堰,云南剑川海门口和湖北蕲春毛家嘴遗址等,其中最重要的干栏建筑遗址为浙江余姚河姆渡遗址,该遗址表明当时长江下游一带的木结构技术水平已高于黄河流域,延续中国数千年的木结构建筑体系由此可见端倪。
河姆渡遗址是一处新石器时代的遗址,遗址总面积约4万平方米,堆积厚度约4米,叠压着四个文化层,其中第四层的年代距今约六七千年。遗址中很有规律地排列着一组组木柱和木桩,并沿着山坡等高线呈扇形分布,可以确认为一组干栏式建筑。发掘区中最大的一座建筑长约23米,进深约7米,由高出地面约1米的四列平行柱桩支撑,柱桩的间距由前至后为1.3米(应为前廊)、3.2米和3.2米。柱桩顶部用长条的木方相连,木方之间搭接横梁,上铺木板,构成架空的地面,其上再立柱架梁,构建成一栋房屋。环绕房屋外侧设有木栏杆,并有木梯用来上下。这种以木桩为支架,上面设大梁、小梁以承托地板,构成架空的基座,再在上面立柱、架横梁及叉手长椽等构件而构成的干栏建筑,是原始巢居的继承和发展。
浙江余姚河姆渡遗址
河姆渡的这种几十米长的长屋建筑,是适应母系氏族社会生活的需要及地理条件的结果,氏族社会要求众多的成员住房既分隔又相互联系,在泥泞、多雨的沼泽边缘要满足这一要求,最佳的选择自然是建造这种相互毗连并有防雨走廊相通的长屋。17世纪居住在美国纽约州的处于母系氏族公社阶段的易洛魁人也采用了相近的长屋方式。河姆渡人能够使用简单的木材构件建造起几十米的长屋,说明当时的木结构技术已经达到了相当高的水平,并已被足够久远的时间和实践所检验。人们在这些倒塌木构件上发现了使用石斧、石凿、石楔、骨凿等原始工具加工而成的榫头和卯口,这也是中国现已发现的古代木构建筑中最早的榫卯实例,开创了中国传统建筑榫卯技术的先河。
浙江余姚河姆渡遗址木构件榫卯
在河姆渡遗址中还发现了中国最早的水井和井干结构技术,遗址为直径6米的圆土坑,土坑深约1米,底部呈锅底状,其中央部位有一个2米×2米的方坑,即水井(井底距地面约1.35米),方坑四周采用井干式的结构方式,用圆木层层叠放加固构成井壁(井字一词即由此而来),而井干结构技术作为木构建筑的一种结构形式也初见端倪。遗构外围的圆坑为高水位时的水潭,在圆坑与方坑之间铺设了类似汀步石的石块,在枯水季节,人们需要踏经这些石块至方井中取水。
在云南晋宁石寨山出土的滇人建筑模型等文物资料,也间接地反映了早期干栏建筑的形象。模型显示,原始时期的干栏建筑采用两坡顶,出檐较大,屋脊向两端伸出很多,并向上翘起,形成长脊短檐的倒梯形屋顶。今天我们仍能在我国西南少数民族地区和东南亚国家以及日本的传统神社建筑中见到这种倒梯字形的屋顶形式。由图像资料可以看到,当时屋面一般采用草、树皮或木片进行覆盖,再用密集排列、交叉出头的木棍压住,类似日本古代建筑屋顶上的千木。在这些出土的铜制建筑模型上还能看到一些细致的处理,如在悬山山花部位设置博风板;有的为了保护山面开窗,在山面加设披檐,从而形成类似歇山式屋顶外形;有的屋顶中间高两侧低,形成跌落式的构图,这些都预示了屋顶作为重要的建筑构成要素将登上建筑艺术的舞台。
浙江余姚河姆渡聚落水井遗构
浙江余姚河姆渡聚落水井复原
云南晋宁石寨山滇人建筑模型
建筑布局和建筑类型的细分,以及建筑形式的变化都在不同程度上反映着社会生活的演变与进步,对应着社会生产生活中的居住、议事、祭祀、防御、丧葬等诸多内容,也产生了多种不同类型的建筑,如供生活起居的有一般住房(方或圆)、供公众活动的大房子、窑穴和灰坑;供生产使用的有陶窑、手工作坊、水井和畜栏;供交通使用的有广场、道路、桥梁、码头;供防御需要的有寨垣、壕沟和栅栏;供祭祀需要的有祭坛、祭坑、祭室;供丧葬需要的有公墓和各种墓葬等。后期社会中所必需的建筑类型,在原始社会时期已然都有了雏形。
原始建筑的内部空间虽然简陋,功能简单,但也已经有所划分,预示人类对建筑空间功能的认知有了质的飞跃,例如在一般穴居建筑的门前设防雨门道,同时可以兼作相对独立的门厅,空间上有了先导和序列观念。在穴居的中央一般有较为开敞的空间,是居住者起居、烤火取暖、加工食物的场所。在穴居建筑内的门厅两侧背后,常会形成隐奥空间,用以满足居寝隐蔽的实用要求。这种空间功能的划分,标志着原始建筑空间组织观念的启蒙,也是后世传统空间——“堂”的前身和雏形,是后世普遍流行的“一明两暗”和“前堂后室”格局的滥觞。与内部空间使用的功能相应,空间的性格也有了明暗、开阖的属性。
聚落中的大房子是“前堂后室”布局的典型诠释,其分室空间是早期穴居门前缓冲空间(门内两侧隔墙)的进一步发展,这说明原始居住建筑的隐奥概念已经形成。《考工记》所记载的“夏后氏世室”,就是寓于一栋建筑之中的“前朝后寝”布局,在空间观念上也正是脱胎于原始社会的这种“大房子”。
在建筑形式方面,原始建筑也孕育了中国古代建筑形式美的许多萌芽,是我们追溯中国传统建筑形式美滥觞的源头。例如南方干栏建筑的屋顶形式的发生和缘起,有理由被联系到原始社会时期的鸟图腾,正如一些原始图案所示,原始建筑屋脊上有用鸟做装饰的例证,云南沧源岩画和云南铜鼓所示干栏建筑屋顶上就都有鸟饰,佐证了传说中干栏式建筑起源于对鸟巢模仿的集体记忆。《诗经》中将建筑的屋顶比喻为“如翚斯飞”,也说明其象征性与远古鸟图腾不无关系。在仰韶文化庙底沟类型凤鸟图案中,太阳与踆乌合纹,是早期人类鸟图腾的一个例证,《淮南子·精神训》说:“日中有踆乌。”
踆乌,即三足的雄鸟,三足踆乌与太阳合纹,应是原始社会进入父系社会后生殖崇拜的反映。该凤鸟图形就似一个大屋顶的断面,也有专家据此认为,图像中的鸟头与大屋顶的屋脊相对应,鸟翼与屋顶断面中的屋檐相对应,鸟的脚爪则象征建筑的柱子。